Світ вражає: Риба-Ктулху, жук Грета і кишенькова акула. 11 тварин, яких відкрили у 2019 році
Вчені відкривають нові види тварин і рослин практично щодня.
Найчастіше виявляють невідомих комах (цей клас відрізняється найбільшим біорізноманіттям), але нерідко трапляються нові риби, рептилії, птахи і навіть ссавці – особливо з віддалених і погано вивчених куточків планети.
Подібні відкриття роблять не тільки під час експедицій, а й після вивчення музейних колекцій, стародавніх скам’янілостей, а іноді – в результаті генетичних тестів, коли близькі види складно відрізнити один від одного.
Загалом науці відомо близько 2 мільйонів видів живих організмів: тварин, рослин і грибів. Однак, за підрахунками вчених, ще більше різновидів (близько 6 млн) досі не траплялися біологам і тільки чекають свого відкриття.
Ось кілька найдивовижніших створінь, вперше виявлених або описаних в минулому 2019 році. Підбірку презентує News Україна.
1. Кишенькова акула
Ця невелика рибка – лише 14 см у довжину – трохи схожа на кашалота, але насправді це так звана кишенькова акула. Її виловили в Мексиканській затоці ще в 2010 році, але тільки через дев’ять років офіційно визнали новим видом.
Кишеньковою вона називається зовсім не через свій розмір, а через два заглиблення (кишені), розташованих по обидва боки тіла, біля грудних плавців.
2. Рогата агама
На популярному у туристів таїландському острові Пхукет майже не залишилося необжитих місць, однак і там іноді знаходять нові види тварин.
Нещодавно на дереві в місцевому лісі виявили мальовничу ящірку з сімейства агамових, яку так і назвали – «пхукетська рогата деревна агама».
3. Лисокіт (він же – котолис)
Такі пухнасті красені завдовжки приблизно 90 см мешкають на Корсиці. Місцеві жителі давно називають цих диких котів «котолисами» за масивний смугастий хвіст з чорним кінцем.
У минулому році вченим нарешті вдалося зловити кілька особин і вивчити їхню ДНК – з’ясувалося, що це й справді невідомий науці вид котячих. Щоправда, жодного стосунку до лисиць корсиканська тварина не має: його найближчий родич – дикий африканський степовий кіт, предок домашніх котів.
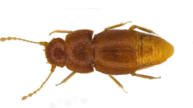
4. Жук Грета
Цього крихітного жучка-шкідника (лише 1 мм в довжину) привезли з Кенії ще наприкінці 1960-х, але понад півстоліття він зберігався у музеї в Лондоні невивченим. І тільки в минулому році співробітник музею Майкл Дарвін виявив, що комаха належить до раніше невідомого виду.
Дарвін вирішив назвати його Nelloptodes gretae – на честь шведської екоактивістки Грети Тунберг.
5. Риба-Ктулху
У річках Амазонії вчені виявили відразу шість нових видів сомиків-анцистрів, які трохи нагадують морське чудовисько Ктулху з творів письменника Роберта Лавкрафта.
Як уточнюють біологи, страхітливі щупальця є тільки на голові у самців і слугують для привернення уваги самиць.
6. Черв’як-каменеїд
Цей дивний молюск відноситься до родини Тередових або «корабельних черв’яків», які отримали таку назву за те, що живляться деревом – особливо корабельним лісом, проїдаючи в ньому глибокі діри.
Однак цей щойно відкритий вид мешкає в прісних водоймах на Філіппінах – і, схоже, харчується камінням. Як саме це відбувається, вчені поки що не розуміють. Можливо, бактерії, які живуть в його травному тракті, здатні розщеплювати вапняк і виробляти поживні речовини.
7. Окулярний квіткоїд
Ця крихітна пташка живе на Борнео – єдиному в світі острові, розділеному між трьома державами: Індонезією, Малайзією і Брунеєм.
Новий вид квіткоїдів харчується переважно омелою і отримав назву «окулярний» через характерні білі відмітини над і під очима.
8. Веселкоголов
Це не дефект фотографії – голова цього вужа дійсно вкрита плямами кольорів веселки, за що журналісти вже прозвали його Зіггі Стардаст.
Змію знайшли в карстових скелях на півночі Лаосу і спочатку вирішили, що веселкоголов живе тільки там. Проте відтоді його виявили ще в одному місці, що підвищує шанси цього виду на виживання.
9. Шерстистий нетопир
Новий вид кажанів, голова та плечі яких вкрита довгою густою шерстю, знайшли у В’єтнамі.
Як вже згадувалося раніше, біологам нечасто трапляються невідомі науці ссавці, однак кажани – в деякому сенсі виняток. Ряд рукокрилих надзвичайно різноманітний і нараховує понад 1300 видів.
10. Тритон-клінгон
А цього мальовничого чорно-червоного тритона виявили в провінції Таїланду Чіанграй. Журналісти одразу порівняли його з расою клінгонів з фантастичного всесвіту кіносаги «Зоряний шлях».
11. Котоокий кардинал
Променепері риби також збагатилися в цьому році новим видом.
Широка темна смуга, яка вертикально проходить через зіницю, надає очам цієї риби схожість з котячими.
Найчастіше виявляють невідомих комах (цей клас відрізняється найбільшим біорізноманіттям), але нерідко трапляються нові риби, рептилії, птахи і навіть ссавці – особливо з віддалених і погано вивчених куточків планети.
Подібні відкриття роблять не тільки під час експедицій, а й після вивчення музейних колекцій, стародавніх скам’янілостей, а іноді – в результаті генетичних тестів, коли близькі види складно відрізнити один від одного.
Загалом науці відомо близько 2 мільйонів видів живих організмів: тварин, рослин і грибів. Однак, за підрахунками вчених, ще більше різновидів (близько 6 млн) досі не траплялися біологам і тільки чекають свого відкриття.
Ось кілька найдивовижніших створінь, вперше виявлених або описаних в минулому 2019 році. Підбірку презентує News Україна.
1. Кишенькова акула
Ця невелика рибка – лише 14 см у довжину – трохи схожа на кашалота, але насправді це так звана кишенькова акула. Її виловили в Мексиканській затоці ще в 2010 році, але тільки через дев’ять років офіційно визнали новим видом.
Кишеньковою вона називається зовсім не через свій розмір, а через два заглиблення (кишені), розташованих по обидва боки тіла, біля грудних плавців.
2. Рогата агама
На популярному у туристів таїландському острові Пхукет майже не залишилося необжитих місць, однак і там іноді знаходять нові види тварин.
Нещодавно на дереві в місцевому лісі виявили мальовничу ящірку з сімейства агамових, яку так і назвали – «пхукетська рогата деревна агама».
3. Лисокіт (він же – котолис)
Такі пухнасті красені завдовжки приблизно 90 см мешкають на Корсиці. Місцеві жителі давно називають цих диких котів «котолисами» за масивний смугастий хвіст з чорним кінцем.
У минулому році вченим нарешті вдалося зловити кілька особин і вивчити їхню ДНК – з’ясувалося, що це й справді невідомий науці вид котячих. Щоправда, жодного стосунку до лисиць корсиканська тварина не має: його найближчий родич – дикий африканський степовий кіт, предок домашніх котів.
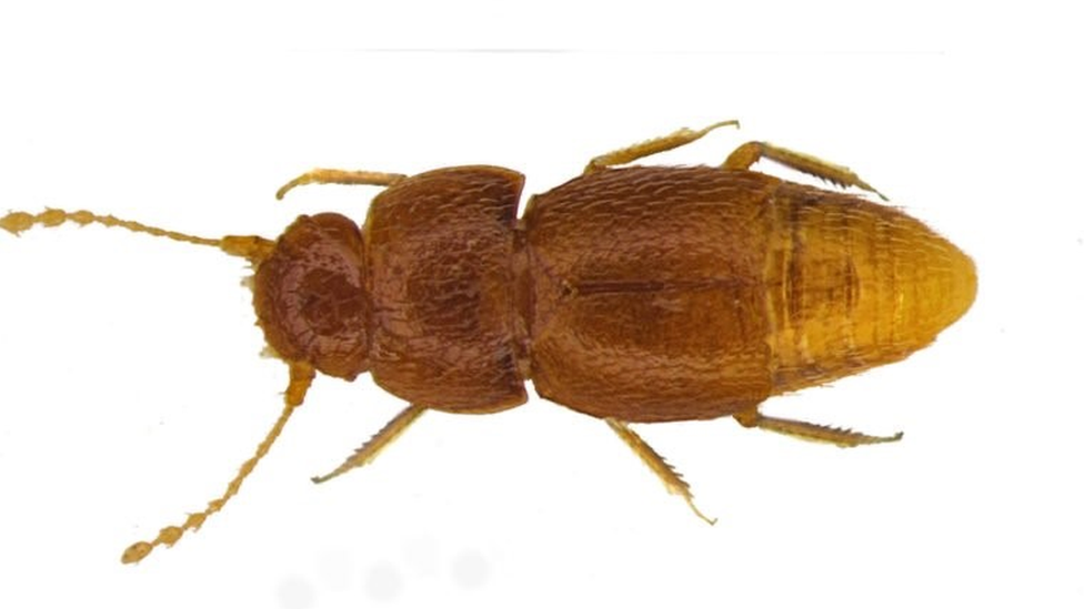
4. Жук Грета
Цього крихітного жучка-шкідника (лише 1 мм в довжину) привезли з Кенії ще наприкінці 1960-х, але понад півстоліття він зберігався у музеї в Лондоні невивченим. І тільки в минулому році співробітник музею Майкл Дарвін виявив, що комаха належить до раніше невідомого виду.
Дарвін вирішив назвати його Nelloptodes gretae – на честь шведської екоактивістки Грети Тунберг.
5. Риба-Ктулху
У річках Амазонії вчені виявили відразу шість нових видів сомиків-анцистрів, які трохи нагадують морське чудовисько Ктулху з творів письменника Роберта Лавкрафта.
Як уточнюють біологи, страхітливі щупальця є тільки на голові у самців і слугують для привернення уваги самиць.
6. Черв’як-каменеїд
Цей дивний молюск відноситься до родини Тередових або «корабельних черв’яків», які отримали таку назву за те, що живляться деревом – особливо корабельним лісом, проїдаючи в ньому глибокі діри.
Однак цей щойно відкритий вид мешкає в прісних водоймах на Філіппінах – і, схоже, харчується камінням. Як саме це відбувається, вчені поки що не розуміють. Можливо, бактерії, які живуть в його травному тракті, здатні розщеплювати вапняк і виробляти поживні речовини.
7. Окулярний квіткоїд
Ця крихітна пташка живе на Борнео – єдиному в світі острові, розділеному між трьома державами: Індонезією, Малайзією і Брунеєм.
Новий вид квіткоїдів харчується переважно омелою і отримав назву «окулярний» через характерні білі відмітини над і під очима.
8. Веселкоголов
Це не дефект фотографії – голова цього вужа дійсно вкрита плямами кольорів веселки, за що журналісти вже прозвали його Зіггі Стардаст.
Змію знайшли в карстових скелях на півночі Лаосу і спочатку вирішили, що веселкоголов живе тільки там. Проте відтоді його виявили ще в одному місці, що підвищує шанси цього виду на виживання.
9. Шерстистий нетопир
Новий вид кажанів, голова та плечі яких вкрита довгою густою шерстю, знайшли у В’єтнамі.
Як вже згадувалося раніше, біологам нечасто трапляються невідомі науці ссавці, однак кажани – в деякому сенсі виняток. Ряд рукокрилих надзвичайно різноманітний і нараховує понад 1300 видів.
10. Тритон-клінгон
А цього мальовничого чорно-червоного тритона виявили в провінції Таїланду Чіанграй. Журналісти одразу порівняли його з расою клінгонів з фантастичного всесвіту кіносаги «Зоряний шлях».
11. Котоокий кардинал
Променепері риби також збагатилися в цьому році новим видом.
Широка темна смуга, яка вертикально проходить через зіницю, надає очам цієї риби схожість з котячими.
Коментарів: 0
12 грудня: свята, події, факти. День Сухопутних військ України та Міжнародний день нейтралітету
Сьогодні 00:00
Сьогодні 00:00
Європейську столицю визнали найкращим у світі містом для життя
11 Грудня 2025 23:42
11 Грудня 2025 23:42
Лижі розплавилися під час спуску: француз встановив рекорд швидкості на піщаній дюні
11 Грудня 2025 23:22
11 Грудня 2025 23:22
Forbes назвав 100 найвпливовіших жінок світу у 2025 році
11 Грудня 2025 23:02
11 Грудня 2025 23:02
МОК рекомендує повернути росіян та білорусів до міжнародних змагань юнацького рівня
11 Грудня 2025 22:42
11 Грудня 2025 22:42
Данія виплатить компенсацію гренландським жінкам за примусовий контроль народжуваності
11 Грудня 2025 22:22
11 Грудня 2025 22:22
Ukraine Facility: Рада ЄС схвалила шостий транш для України на близько €2,3 млрд
11 Грудня 2025 22:04
11 Грудня 2025 22:04
На сході Туреччини снігопади заблокували понад 20 доріг
11 Грудня 2025 21:46
11 Грудня 2025 21:46
Подробиці мирного плану та вибори в Україні: що розповів Зеленський журналістам
11 Грудня 2025 21:27
11 Грудня 2025 21:27









.png)


Додати коментар:
УВАГА! Користувач www.volynnews.com має розуміти, що коментування на сайті створені аж ніяк не для політичного піару чи антипіару, зведення особистих рахунків, комерційної реклами, образ, безпідставних звинувачень та інших некоректних і негідних речей. Утім коментарі – це не редакційні матеріали, не мають попередньої модерації, суб’єктивні повідомлення і можуть містити недостовірну інформацію.