Світ вражає: Вчені натрапили на загублений вулканічний світ глибоко в океані
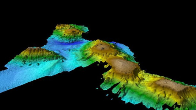
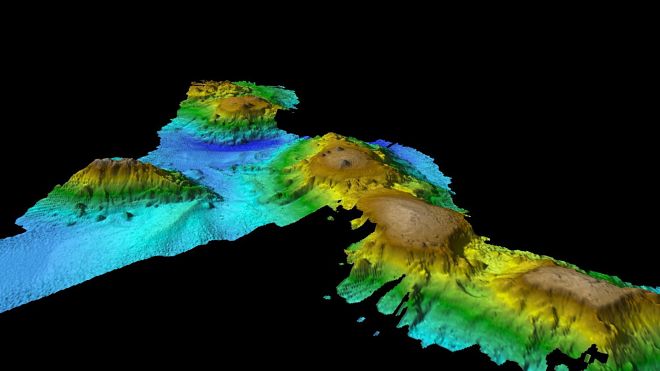
Приголомшливий вулканічний загублений світ знайшла група вчених в глибинах океану біля берегів Тасманії.
Експерти Організації науково-промислових досліджень Співдружності (CSIRO) на судні «Investigator» зробили дивне відкриття при складанні карти морського дна в 300 км на схід від Тасманії, розповідають Діалоги. Проект очолюють вчені з Австралійського національного університету.
Ланцюг «підводних гір» виявився місцем існування цілого підводного царства, багатого біорізноманіттям. Вулкани піднімаються з дна, з абісальної рівнини, на висоту 5000 м, говорить представник команди CSIRO Тара Мартін.
Область рясніє морським життям. Доктор Ерік Вулер з BirdLife Tasmania, який знаходився на борту дослідницького судна, говорить, що в регіоні нарахували 28 горбатих китів тільки за один день, близько 80 китів-гринд і багатьох інших морських мешканців.
Експерти Організації науково-промислових досліджень Співдружності (CSIRO) на судні «Investigator» зробили дивне відкриття при складанні карти морського дна в 300 км на схід від Тасманії, розповідають Діалоги. Проект очолюють вчені з Австралійського національного університету.
Ланцюг «підводних гір» виявився місцем існування цілого підводного царства, багатого біорізноманіттям. Вулкани піднімаються з дна, з абісальної рівнини, на висоту 5000 м, говорить представник команди CSIRO Тара Мартін.
Область рясніє морським життям. Доктор Ерік Вулер з BirdLife Tasmania, який знаходився на борту дослідницького судна, говорить, що в регіоні нарахували 28 горбатих китів тільки за один день, близько 80 китів-гринд і багатьох інших морських мешканців.
Коментарів: 0
Російська розвідка пропонувала Орбану інсценувати замах на нього, щоб підняти рейтинг, – WP
Сьогодні 17:03
Сьогодні 17:03
На Волині браконьєр вбив самку дикого кабана: збитків на 40 тисяч, а штраф – 1700 грн
Сьогодні 16:35
Сьогодні 16:35
Українські військові вдарили по Саратовському НПЗ
Сьогодні 16:07
Сьогодні 16:07
На Волині інвентаризують 2356 гектарів державних земель
Сьогодні 15:39
Сьогодні 15:39
Підліток бив щуром по голові восьмирічного хлопця: біля Луцька розгорівся конфлікт між учнями
Сьогодні 14:43
Сьогодні 14:43
Порізали колючий дріт і перетнули кордон: литовські прикордонники повернули до Білорусі 18 нелегальних мігрантів
Сьогодні 14:15
Сьогодні 14:15
«Даринка – сонячний промінчик»: як ліцей у Луцьку став осередком інклюзії для восьмирічної школярки
Сьогодні 13:47
Сьогодні 13:47


Додати коментар:
УВАГА! Користувач www.volynnews.com має розуміти, що коментування на сайті створені аж ніяк не для політичного піару чи антипіару, зведення особистих рахунків, комерційної реклами, образ, безпідставних звинувачень та інших некоректних і негідних речей. Утім коментарі – це не редакційні матеріали, не мають попередньої модерації, суб’єктивні повідомлення і можуть містити недостовірну інформацію.