У Луцьку ліквідують низку вулиць, ще кілька перейменують
У Луцьку та прилеглих селах громади вирішили закрити низку вулиць як такі, що не існують. Окремі назви вулиць змінять.
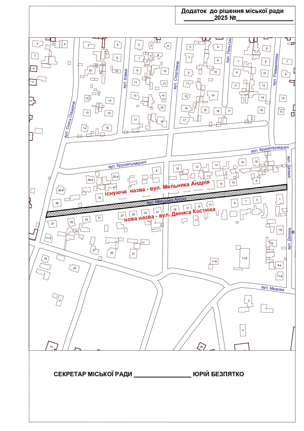
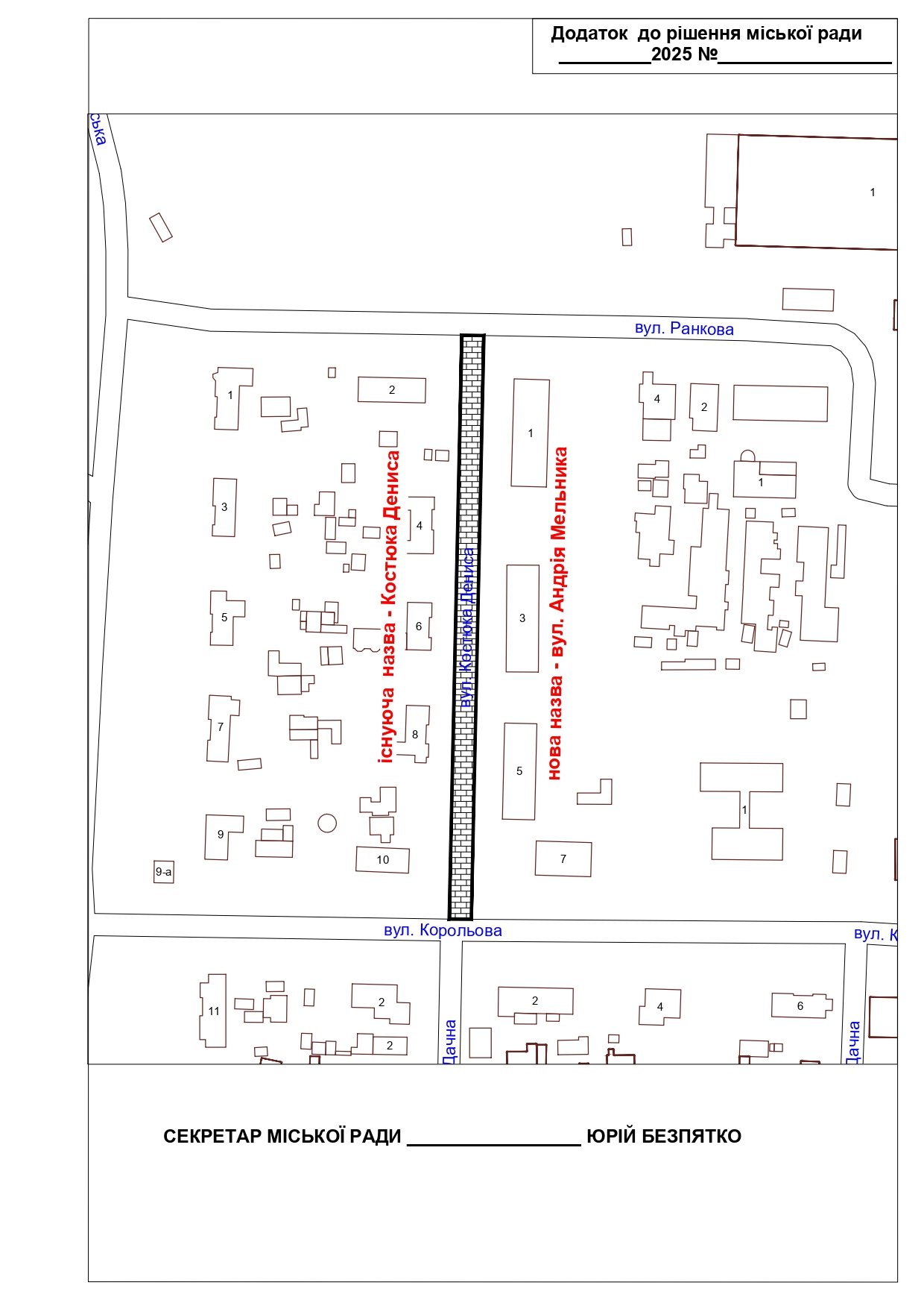
Відповідні рішення було прийнято 29 січня на сесії Луцької міської ради. На розгляд депутатів винесли три проєкти рішення: про закриття та перейменування вулиць у населених пунктах Луцької громади; про перейменування вулиці Костюка Дениса на вулицю Андрія Мельника у місті Луцьку; про перейменування вулиці Мельника Андрія на вулицю Дениса Костюка у місті Луцьку.
Було вирішено закрити вулиці в Луцьку як такі, що не існують: Гайдара; Григорія Андрузького; Івана Виговського; Княгинінська; Косіора; Кропивницького; Леся Курбаса; Левадна; Миколи Міхновського; Міцкевича; Нижня; Станіслава Дністрянського; Тиха; Центральна; Нижній проїзд; Агрономічна.
Також закриють вулицю Григорівка у селі Богушівка та вулицю Зоряна у селі Боголюби як такі, що не існують. Те саме стосується і вулиць Будівельна, Промінська, Юності в селі Зміїнець, вулиць Вигонного, Пилипа Орлика, масив Гуща в селі Прилуцьке.
Окрім того, в Луцьку вирішено перейменувати вулицю Іови Кондзелевича на вулицю Йова Кондзелевича, а вулицю Тополева – на Тополина, що відповідає чинному правопису.
Читати ще: У селах Луцької громади змінюють назви вулиць. Перелік
Як пояснив директор департаменту містобудування, земельних ресурсів та реклами Веніамін Туз, також вирішено дещо змінити розташування вулиць Андрія Мельника і Дениса Костюка, адже до міськради звернулися рідні полеглого воїна Дениса Костюка з проханням назвати його ім’ям саме ту частину вулиці, де він мешкав.Нагадаємо, Костюк Дениса Валерійович (28.09.1994–22.03.2023) народився та проживав у Луцьку. Брав участь у заходах, необхідних для забезпечення оборони України, захисту безпеки населення та інтересів держави у зв’язку з військовою агресією російської федерації проти України.
Андрій Мельник – український військовий та політичний діяч. Андрій Мельник був головою Проводу Українських Націоналістів, другим головою ОУН, одним з найближчих соратників полковника Євгена Коновальця, одним із організаторів Січових Стрільців та його проводу Стрілецької Ради та Української Військової Організації. Тривалий час був у Луцьку серед інтернованих Січових стрільців, забезпечував зв’язок Є. Коновальця і С. Петлюри.
Підписуйтесь на наш Telegram-канал, аби першими дізнаватись найактуальніші новини Волині, України та світу
Відповідні рішення було прийнято 29 січня на сесії Луцької міської ради. На розгляд депутатів винесли три проєкти рішення: про закриття та перейменування вулиць у населених пунктах Луцької громади; про перейменування вулиці Костюка Дениса на вулицю Андрія Мельника у місті Луцьку; про перейменування вулиці Мельника Андрія на вулицю Дениса Костюка у місті Луцьку.
Було вирішено закрити вулиці в Луцьку як такі, що не існують: Гайдара; Григорія Андрузького; Івана Виговського; Княгинінська; Косіора; Кропивницького; Леся Курбаса; Левадна; Миколи Міхновського; Міцкевича; Нижня; Станіслава Дністрянського; Тиха; Центральна; Нижній проїзд; Агрономічна.
Також закриють вулицю Григорівка у селі Богушівка та вулицю Зоряна у селі Боголюби як такі, що не існують. Те саме стосується і вулиць Будівельна, Промінська, Юності в селі Зміїнець, вулиць Вигонного, Пилипа Орлика, масив Гуща в селі Прилуцьке.
Окрім того, в Луцьку вирішено перейменувати вулицю Іови Кондзелевича на вулицю Йова Кондзелевича, а вулицю Тополева – на Тополина, що відповідає чинному правопису.
Читати ще: У селах Луцької громади змінюють назви вулиць. Перелік
Як пояснив директор департаменту містобудування, земельних ресурсів та реклами Веніамін Туз, також вирішено дещо змінити розташування вулиць Андрія Мельника і Дениса Костюка, адже до міськради звернулися рідні полеглого воїна Дениса Костюка з проханням назвати його ім’ям саме ту частину вулиці, де він мешкав.Нагадаємо, Костюк Дениса Валерійович (28.09.1994–22.03.2023) народився та проживав у Луцьку. Брав участь у заходах, необхідних для забезпечення оборони України, захисту безпеки населення та інтересів держави у зв’язку з військовою агресією російської федерації проти України.
Андрій Мельник – український військовий та політичний діяч. Андрій Мельник був головою Проводу Українських Націоналістів, другим головою ОУН, одним з найближчих соратників полковника Євгена Коновальця, одним із організаторів Січових Стрільців та його проводу Стрілецької Ради та Української Військової Організації. Тривалий час був у Луцьку серед інтернованих Січових стрільців, забезпечував зв’язок Є. Коновальця і С. Петлюри.
Знайшли помилку? Виділіть текст і натисніть
Підписуйтесь на наш Telegram-канал, аби першими дізнаватись найактуальніші новини Волині, України та світу
Коментарів: 2
Лучанин
Показати IP
29 Січня 2025 13:22
На Агрономічній, 5 живуть люди і є приватизована квартира. Прокурори - ауууу, де ви???
Наталія
Показати IP
29 Січня 2025 23:45
Чим би дитя не бавилось,аби не плакало,не на часі .вже не знаєш,де яка вулиця.не знають чим зайнятись.НА ФРОНТ!!!не вулицю перейменувати,а УКРАЇНУ ЗАХИЩАТИ!!!,перейменувальники,ВПЕРЕД!!!
З початку березня на Волині вже 62 людини травмувалися в ДТП за участю мотоциклів та електросамокатів
Сьогодні 08:46
Сьогодні 08:46
Без базової військової підготовки: Рада затвердила вивчення «Основ національного спротиву» у вишах
Сьогодні 07:44
Сьогодні 07:44
Військові оркестри НГУ подарували лучанам концерт до Дня Національної гвардії України
Сьогодні 06:48
Сьогодні 06:48



Додати коментар:
УВАГА! Користувач www.volynnews.com має розуміти, що коментування на сайті створені аж ніяк не для політичного піару чи антипіару, зведення особистих рахунків, комерційної реклами, образ, безпідставних звинувачень та інших некоректних і негідних речей. Утім коментарі – це не редакційні матеріали, не мають попередньої модерації, суб’єктивні повідомлення і можуть містити недостовірну інформацію.