Ураган «Альберто» може завдати США збитки на мільярд доларів
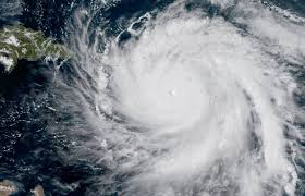
Ураган "Альберто", який насувається на узбережжя США, може завдати шкоди регіону в розмірі 1 млрд доларів. Про це повідомляє Bloomberg з посиланням на аналітичну компанію Enki Research.
Згідно з даними, регіону може бути завдано шкоди на суму від 400 до 500 мільйонів доларів, включаючи пошкодження автомобілів і будинків. Ще 600 мільйонів доларів може бути втрачено через зниження активності туристів.
Зазначено, що найбільшу загрозу становлять повені. Губернатори у Флориді, Міссісіпі та Алабамі в суботу оголосили надзвичайний стан.
Друга проблема полягає в тому, що навіть мінімальні штормові вітри можуть повалити дерева.
Раніше повідомлялося, що в США збиток від стихійного лиха в 2017 році склав 306 млрд дол. Зокрема тільки збиток від урагану "Гарві" перевищив 125 млрд дол., а ураган "Марія" й "Ірма" обійшлися в 90 млрд та 50 млрд дол. відповідно.
Підписуйтесь на наш Telegram-канал, аби першими дізнаватись найактуальніші новини Волині, України та світу
Згідно з даними, регіону може бути завдано шкоди на суму від 400 до 500 мільйонів доларів, включаючи пошкодження автомобілів і будинків. Ще 600 мільйонів доларів може бути втрачено через зниження активності туристів.
Зазначено, що найбільшу загрозу становлять повені. Губернатори у Флориді, Міссісіпі та Алабамі в суботу оголосили надзвичайний стан.
Друга проблема полягає в тому, що навіть мінімальні штормові вітри можуть повалити дерева.
Раніше повідомлялося, що в США збиток від стихійного лиха в 2017 році склав 306 млрд дол. Зокрема тільки збиток від урагану "Гарві" перевищив 125 млрд дол., а ураган "Марія" й "Ірма" обійшлися в 90 млрд та 50 млрд дол. відповідно.
Знайшли помилку? Виділіть текст і натисніть
Підписуйтесь на наш Telegram-канал, аби першими дізнаватись найактуальніші новини Волині, України та світу
Коментарів: 1
Корiнний лучанин
Показати IP
28 Травня 2018 19:57
Пропозицiя:давайте СМС-ками допоможемо брата. Вони вже чотири роки доплатить нам не закiнчити вiйну ----вiддячимо.
Біля Луцька люди знайшли залишки ракети і хотіли їх спалити
Сьогодні 19:35
Сьогодні 19:35
Іспанія передає Україні 100 бронемашин VAMTAC та артснаряди
Сьогодні 19:15
Сьогодні 19:15
Відійшов у вічність доцент ВНУ імені Лесі Українки
Сьогодні 18:54
Сьогодні 18:54
Обвинувачений у вбивстві Фаріон намагався повіситися в суді
Сьогодні 17:40
Сьогодні 17:40
У Волинській обласній лікарні завершують термомодернізацію
Сьогодні 17:23
Сьогодні 17:23
На Ковельщині горіло 2,5 га сухостою
Сьогодні 17:06
Сьогодні 17:06

Додати коментар:
УВАГА! Користувач www.volynnews.com має розуміти, що коментування на сайті створені аж ніяк не для політичного піару чи антипіару, зведення особистих рахунків, комерційної реклами, образ, безпідставних звинувачень та інших некоректних і негідних речей. Утім коментарі – це не редакційні матеріали, не мають попередньої модерації, суб’єктивні повідомлення і можуть містити недостовірну інформацію.