На Філіппіни обрушився супертайфун: проводять масову евакуацію населення
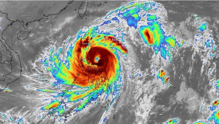
У неділю влада Філіппін евакуювала близько мільйона людей зі східних та північних регіонів країни через наближення супертайфуну «Фунг-Вонг». По всій країні оголошено штормове попередження, а в деяких провінціях запроваджено найвищий, п’ятий рівень небезпеки.
Про це інформує Українська правда з посиланням на Reuters, The Associated Press
Метеорологічні служби повідомляють, що супертайфун «Фунг-Вонг» несе постійні вітри зі швидкістю 185 км/год з поривами до 230 км/год. Очікується, що стихія вийде на сушу ближче до вечора неділі за місцевим часом.
Найвищий, п’ятий рівень небезпеки оголошено над південно-східною частиною Лусона, зокрема в провінції Катандуанес та прибережних районах Камарінес-Норте і Камарінес-Сур.Наслідки наближення стихії вже відчутні по всій країні. Регулятор цивільної авіації повідомив про скасування понад 300 внутрішніх та міжнародних рейсів
Читати ще: У Кенії внаслідок зсуву ґрунту загинули 13 людей
У соціальних мережах, зокрема на платформі X, місцеві жителі поширюють відео, що демонструють погіршення погодних умов: сильний вітер, що зриває гілки з дерев, та великі хвилі, які вже починають затоплювати узбережжя.Ситуація ускладнюється тим, що Філіппіни ще не оговталися від наслідків попереднього стихійного лиха. «Фунг-Вонг» наблизився до країни лише через чотири дні після тайфуну Kalmaegi, який забрав життя 204 людей і залишив по собі значні руйнування, перш ніж рушити на В’єтнам. Там він спричинив загибель ще п’яти осіб та спустошив прибережні громади.
Згідно з останніми даними, понад 916 860 осіб евакуйовано з міст і сіл, розташованих у зоні підвищеного ризику в північно-східних провінціях.
Міністр оборони Гільберто Теодоро-молодший у телевізійному зверненні попередив про потенційно катастрофічні наслідки тайфуну «Фунг-Вонг». За його словами, шторм може вразити значну частину країни, зокрема Себу – центральну провінцію, що найбільше постраждала від тайфуну Kalmaegi, а також столицю країни Манілу, густонаселений мегаполіс, який є політичним і фінансовим центром країни.
За даними Управління цивільної оборони, понад 30 мільйонів людей можуть опинитися в зоні небезпеки, спричиненої цим супертайфуном.
Підписуйтесь на наш Telegram-канал, аби першими дізнаватись найактуальніші новини Волині, України та світу
Про це інформує Українська правда з посиланням на Reuters, The Associated Press
Метеорологічні служби повідомляють, що супертайфун «Фунг-Вонг» несе постійні вітри зі швидкістю 185 км/год з поривами до 230 км/год. Очікується, що стихія вийде на сушу ближче до вечора неділі за місцевим часом.
Найвищий, п’ятий рівень небезпеки оголошено над південно-східною частиною Лусона, зокрема в провінції Катандуанес та прибережних районах Камарінес-Норте і Камарінес-Сур.
Dambuhalang storm surge ang bumungad sa mga residente sa Rawis, Virac, Catanduanes.
— ABS-CBN News (@ABSCBNNews) November 9, 2025
Nakasailalim ang isla sa Wind Signal No. 5 at red heavy rainfall warning dahil sa super typhoon #UwanPH as of 8 a.m. ngayong Linggo, Nov. 9, 2025. | via Rey Boton
(Courtesy: Renalyn Silva) pic.twitter.com/L9usXX3S51
Читати ще: У Кенії внаслідок зсуву ґрунту загинули 13 людей
У соціальних мережах, зокрема на платформі X, місцеві жителі поширюють відео, що демонструють погіршення погодних умов: сильний вітер, що зриває гілки з дерев, та великі хвилі, які вже починають затоплювати узбережжя.
MALAKAS NA HAMPAS NG ALON, NARARANASAN SA CAMARINES SUR
— GMA Integrated News (@gmanews) November 9, 2025
As of 7:00 AM, nararanasan ang malakas na hampas ng alon sa Baybay Sisiran, Garchitorena, Camarines Sur ngayong Linggo, Nov. 9, dahil sa Bagyong #UwanPH.
Ayon sa PAGASA, as of 8AM, isa nang super typhoon ang Bagyong Uwan.… pic.twitter.com/J3Kpxsz1up
Згідно з останніми даними, понад 916 860 осіб евакуйовано з міст і сіл, розташованих у зоні підвищеного ризику в північно-східних провінціях.
Міністр оборони Гільберто Теодоро-молодший у телевізійному зверненні попередив про потенційно катастрофічні наслідки тайфуну «Фунг-Вонг». За його словами, шторм може вразити значну частину країни, зокрема Себу – центральну провінцію, що найбільше постраждала від тайфуну Kalmaegi, а також столицю країни Манілу, густонаселений мегаполіс, який є політичним і фінансовим центром країни.
За даними Управління цивільної оборони, понад 30 мільйонів людей можуть опинитися в зоні небезпеки, спричиненої цим супертайфуном.
Знайшли помилку? Виділіть текст і натисніть
Підписуйтесь на наш Telegram-канал, аби першими дізнаватись найактуальніші новини Волині, України та світу
Коментарів: 0
12 грудня: свята, події, факти. День Сухопутних військ України та Міжнародний день нейтралітету
Сьогодні 00:00
Сьогодні 00:00
Європейську столицю визнали найкращим у світі містом для життя
11 Грудня 2025 23:42
11 Грудня 2025 23:42
Лижі розплавилися під час спуску: француз встановив рекорд швидкості на піщаній дюні
11 Грудня 2025 23:22
11 Грудня 2025 23:22
Forbes назвав 100 найвпливовіших жінок світу у 2025 році
11 Грудня 2025 23:02
11 Грудня 2025 23:02
МОК рекомендує повернути росіян та білорусів до міжнародних змагань юнацького рівня
11 Грудня 2025 22:42
11 Грудня 2025 22:42
Данія виплатить компенсацію гренландським жінкам за примусовий контроль народжуваності
11 Грудня 2025 22:22
11 Грудня 2025 22:22
Ukraine Facility: Рада ЄС схвалила шостий транш для України на близько €2,3 млрд
11 Грудня 2025 22:04
11 Грудня 2025 22:04
На сході Туреччини снігопади заблокували понад 20 доріг
11 Грудня 2025 21:46
11 Грудня 2025 21:46
Подробиці мирного плану та вибори в Україні: що розповів Зеленський журналістам
11 Грудня 2025 21:27
11 Грудня 2025 21:27

Додати коментар:
УВАГА! Користувач www.volynnews.com має розуміти, що коментування на сайті створені аж ніяк не для політичного піару чи антипіару, зведення особистих рахунків, комерційної реклами, образ, безпідставних звинувачень та інших некоректних і негідних речей. Утім коментарі – це не редакційні матеріали, не мають попередньої модерації, суб’єктивні повідомлення і можуть містити недостовірну інформацію.