У Луцьку перевірять законність будівництва автосалону на місці стоянки
Звернутися до прокуратури та антикорупційного бюро щодо законності будівництва автомагазину на ділянці, призначеній для відкритої автостоянки у Луцьку, вирішили у комісії міськради з питань архітектури.
Про це йшлося під час засідання постійної комісії міськради з питань генерального планування, будівництва, архітектури та благоустрою, житлово-комунального господарства, екології, транспорту та енергозбереження 23 січня.
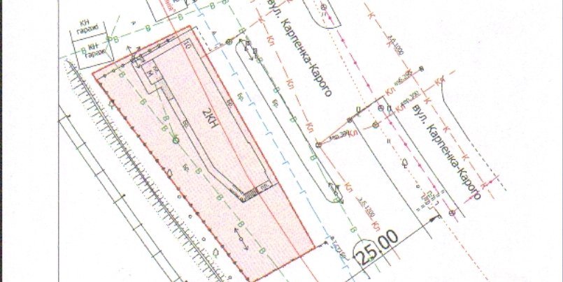
Депутати розглянули проект рішення про надання ТзОВ «Транс Капітал» дозволу на розробку проекту землеустрою щодо відведення земельної ділянки на умовах оренди за адресою вулиця Карпенка-Карого, 10 площею 8 сотих із зміною цільового призначення з влаштування та обслуговування відкритої стоянки автотранспорту на будівництво та обслуговування автомагазину.
Як пояснив начальник управління земельних ресурсів Сергій Шабала, йдеться про оформлення земельної ділянки під об’єктом нерухомості, що стоїть на ній та зареєстрований у державному реєстрі як нерухоме майно (автомагазин).
Нагадаємо, що під час сесії міськради у грудні депутати не підтримали проект рішення. Ще у 2015 році підприємству відмовляли в поновленні договору оренди.
Голова комісії Андрій Козюра зауважив, що свого часу земельна ділянка перебувала у підприємства в оренді під відкриту автостоянку. Невдовзі на місці автостоянки з’явився об’єкт нерухомого майна, який зараз зареєстрований та має техпаспорт. Втім, з його слів, об’єкт стоїть за межами червоної лінії.
Сергій Шабала зауважив, що варто розділити питання законності будівництва, оформлення права власності і оформлення земельної ділянки. З його слів, орендар повинен сплачувати до 50 тисяч гривень орендної плати на рік за ділянку, тому що об’єкт нерухомості існує. Якщо під час слідчих дій чи судових рішень будуть вжиті якісь заходи – це, мовляв, інше питання. Зареєстрований об’єкт, як наголосив посадовець, повинен приносити гроші до бюджету.
Члени комісії вирішили рекомендувати підтримати проект рішення та звернутися в прокуратуру Волинської області та антикорупційне бюро щодо перевірки законності будівництва та оформлення права власності на вказаній земельній ділянці.
Підписуйтесь на наш Telegram-канал, аби першими дізнаватись найактуальніші новини Волині, України та світу
Про це йшлося під час засідання постійної комісії міськради з питань генерального планування, будівництва, архітектури та благоустрою, житлово-комунального господарства, екології, транспорту та енергозбереження 23 січня.
Депутати розглянули проект рішення про надання ТзОВ «Транс Капітал» дозволу на розробку проекту землеустрою щодо відведення земельної ділянки на умовах оренди за адресою вулиця Карпенка-Карого, 10 площею 8 сотих із зміною цільового призначення з влаштування та обслуговування відкритої стоянки автотранспорту на будівництво та обслуговування автомагазину.
Як пояснив начальник управління земельних ресурсів Сергій Шабала, йдеться про оформлення земельної ділянки під об’єктом нерухомості, що стоїть на ній та зареєстрований у державному реєстрі як нерухоме майно (автомагазин).
Нагадаємо, що під час сесії міськради у грудні депутати не підтримали проект рішення. Ще у 2015 році підприємству відмовляли в поновленні договору оренди.
Голова комісії Андрій Козюра зауважив, що свого часу земельна ділянка перебувала у підприємства в оренді під відкриту автостоянку. Невдовзі на місці автостоянки з’явився об’єкт нерухомого майна, який зараз зареєстрований та має техпаспорт. Втім, з його слів, об’єкт стоїть за межами червоної лінії.
Сергій Шабала зауважив, що варто розділити питання законності будівництва, оформлення права власності і оформлення земельної ділянки. З його слів, орендар повинен сплачувати до 50 тисяч гривень орендної плати на рік за ділянку, тому що об’єкт нерухомості існує. Якщо під час слідчих дій чи судових рішень будуть вжиті якісь заходи – це, мовляв, інше питання. Зареєстрований об’єкт, як наголосив посадовець, повинен приносити гроші до бюджету.
Члени комісії вирішили рекомендувати підтримати проект рішення та звернутися в прокуратуру Волинської області та антикорупційне бюро щодо перевірки законності будівництва та оформлення права власності на вказаній земельній ділянці.
Знайшли помилку? Виділіть текст і натисніть
Підписуйтесь на наш Telegram-канал, аби першими дізнаватись найактуальніші новини Волині, України та світу
Коментарів: 2
...
Показати IP
24 Січня 2017 13:17
Все у нас через, одне місце, спочатку будують потім перевіряють. Молодці, далеко зайдемо з такими управлінцями.
Стас
Показати IP
24 Січня 2017 14:48
Шабала шахрай отримав $$$ і все рішив
У НАТО заблокували план допомоги Україні, – The Telegraph
Сьогодні 07:17
Сьогодні 07:17
Для ковельської школи збудують нове укриття за 7 млн
Сьогодні 06:18
Сьогодні 06:18
25 травня: свята, події, факти. Всесвітній день хірургії та Міжнародний день зниклих дітей
Сьогодні 00:00
Сьогодні 00:00
Був у СЗЧ, тому не захотів пройти огляд: водія, якого спіймали біля Луцька під наркотиками, оштрафували
24 Травня 2026 23:36
24 Травня 2026 23:36
У Білорусі не фіксується переміщення техніки чи особового складу біля кордону, – Демченко
24 Травня 2026 23:07
24 Травня 2026 23:07
Бережіться не лише кліщів: лікарка попередила про нашестя небезпечних комах в Україні
24 Травня 2026 22:38
24 Травня 2026 22:38
На Ратнівщині за понад 600 тисяч продають майно підприємства-банкрута
24 Травня 2026 22:09
24 Травня 2026 22:09


Додати коментар:
УВАГА! Користувач www.volynnews.com має розуміти, що коментування на сайті створені аж ніяк не для політичного піару чи антипіару, зведення особистих рахунків, комерційної реклами, образ, безпідставних звинувачень та інших некоректних і негідних речей. Утім коментарі – це не редакційні матеріали, не мають попередньої модерації, суб’єктивні повідомлення і можуть містити недостовірну інформацію.