Історія земельної ділянки в Луцьку: город, хата чи багатоповерхівка?
Лучанка Галина Новосад вже більше 10 років намагається приватизувати ділянку в центральній частині міста. Землю у власність все не можуть надати, але й забрати з користування теж не можуть.
Історія півстолітньої давнини
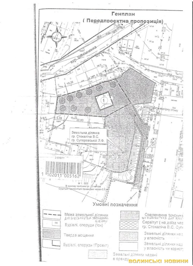
Історія з цією землею сягає ще 50-х років 20 століття. Тоді на вулиці Садовій (нині Винниченка, 53) в одному будинку жили четверо квартирантів. Подібні спільні будівлі свого часу були доволі поширеним явищем. У одній з квартир мешкала родина Стокаліч, про що свідчить витяг з Генерального плану, датованого 1954 роком.Коли в Україні розпочалася приватизація, родина вирішила зробити як і їхні сусіди: приватизувати ділянку, якою вони користувалися. Об’єдналися вони з однією сусідкою – Ларисою Супоровською. Якщо об’єднати ці дві ділянки під господарствами, виходило менше 10 соток на дві родини (хоча стільки передбачено законодавством для одного). Володимир Стокаліч та Лариса Супоровська написали заяву на надання в оренду земельної ділянки для будівництва та обслуговування житлового будинку, господарських будівель і споруд.
Питання у Луцькій міській раді розглядали у жовтні 2006 року, і надали Стокалічу та Супоровській в оренду ділянку площею 0, 08 гектара.
Однак, у березні 2007 року з невідомих причин, депутати прийняли рішення внести зміни в згадане рішення: замість 0,08 гектара двом господарствам надали 504 метри квадратних землі.Щоправда, довгий час цієї зміни лучани не зауважували. Вони отримали державний акт на право власності на земельну ділянку і думали, що ділянка, якою вони користуються – їхня.
Історія кількарічної давнини
Дружина Володимира Стокаліча – Галина Новосад - вирішила одного разу привести до ладу документи. І лише тоді лучани виявили, що володіють не 10 сотками, а лише 5-ма: по 2,5 сотки на кожного.З 2011 року Галина Новосад намагається приватизувати землю, якою вона користується декілька десятків років, і відвоювати ще 5 соток землі. Сусідка і чоловік виготовили нотаріальну довіреність на ім’я жінки.Чому ж депутати у 2007 році змінили рішення і вилучили землю - до кінця незрозуміло. Щоправда, можна припустити, що на цьому місці планували збудувати багатоповерхівку. Про це свідчить публікація на сторінках Інформаційного агентства Волинські Новини від 2013 року.
У публікації йдеться, що ДП «Волинський науково-дослідний та проектний інститут землеустрою» вилучило землю на вулиці Винниченка, 53 для будівництва багатоповерхівки. Натомість пообіцяли лучанам квартири. Але цього не відбулося.
Щоправда, у 2013 році заявлялося, що землю вилучили для будівництва наукової лабораторії для того ж Інституту.Як би там не було, але приватизувати землю, доки Інститут мав претензії, лучани не могли. Нині ж, коли держпідприємство відмовилося від посягань на землю, Галина Новосад отримала надію землю приватизувати. Проте, виявилося, не все так просто.
26 квітня 2012 року депутати Луцької міської ради проголосували за проект рішення Про надання громадянці Новосад дозволу на розроблення проекту землеустрою щодо відведення земельної ділянки для будівництва та обслуговування житлового будинку, господарських будівель і споруд. Цим документом обранці громади дали дозвіл розробити проект землеустрою щодо відведення земельної ділянки у власність Галині Новосад.Це була так звана «перша сесія». Зазвичай рішення про надання у власність («друга сесія») має прийматися автоматично, якщо рішення проходить під час «першої сесії».«Формальне питання» голосували тричі
Однак, під час 72 сесії міськради, 25 березня, проект рішення не набрав достатньої кількості голосів. До слова, того дня Галині Новосад виповнилося 55 років. Вона чемно чекала цілий день рішення депутатів і пішла ні з чим.
Варто зауважити: проект рішення озвучив депутат міської ради Андрій Осіпов. Того дня було оголошено про включення його до складу депутатської групи «Новий Луцьк» і обрання Андрія Осіпова головою групи. Депутат припустив, що не підтримавши проект рішення, колеги висловили особисте ставлення до нього, а не цікавилися суттю питання.
Питання на розгляд депутатів виносилося тричі. Та жодного разу воно не набрало достатньої кількості голосів. Приміром, міський голова Микола Романюк тричі натискав кнопку «утримався». А через тиждень в коментарі з цього приводу навіть не згадав суті питання, бо таких - «сотні». Схожі відповіді і у решти депутатів, які не голосували за проект рішення.
Депутат Василь Гриб мотивував те, що він не голосував за згаданий проект рішення, негативним висновком земельної комісії, тоді, коли земельна комісія питання не розглядала, а на розгляд сесії його подала комісія з питань дотримання прав людини, законності, боротьби зі злочинністю, депутатської діяльності, етики та регламенту.
Багатоповерхівка в проектах
Власне, якщо ж глянути на візи на проекті рішення, то вирішальним фактором у цій справі могли бути й висновки управління архітектури та управління землеустрою.До слова, зробити заїзд до цієї ділянки жінка також не зможе. Невеличкий шматок на схилі - одразу ж за парканом ділянки, яку хоче приватизувати Галина Новосад, міська рада надала в оренду на 50 років одному з підприємців міста. Про це вона дізналася «між іншим», коли прийшла на прийом до головного архітектора.
Галина Новосад подала вчергове документи в управління містобудування та архітектури. З’ясувалося, що відповідно до Генерального плану міста Луцька, затвердженого у 2009 році, та плану зонування, затвердженого в лютому 2015 року, рішенням міськради ділянка, яку хоче приватизувати жінка, знаходиться на території перспективної багатоквартирної житлової забудови, а саме 5-поверхівки. Тому цю земельну ділянку в приватну власність для індивідуальної забудови виділити не можуть.Проте, каже Галина Новосад, багатоповерхівку все одно там не збудують – сусіди не погодяться. Відтак, жінка готується йти до суду, аби добитися виділення земельної ділянки.Власне, ситуація схематично виглядає так: якщо депутати сказали «А» (дозвіл на першій сесії), то треба було сказати «Б» («друга сесія»); а якщо не збиралися казати «Б» (бо не відповідає генплану), то не варто було казати «А»(позитивне голосування «першої сесії»).
***
Відтак, земельна ділянка «зависла» в повітрі. Відкликати рішення «першої сесії» депутати не зможуть. Його можна анулювати в судовому порядку. Та, враховуючи, що наврядчи знайдуться авантюристи, які побудують на тих п’яти сотках багатоповерхівку, де мало місця навіть розмістити будівельну техніку, охочих оскаржувати рішення може більше й не знайтися. А оскільки управління містобудування і архітектури не дає позитивного висновку, то «друга сесія» може не відбутися.
Своєю чергою, позитивний висновок архітектури можливий лише після внесення змін до Генерального плану міста та плану зонування території. А це – складна процедура, яка коштує чималих грошей.
Натомість, ухвалювати рішення, які не завізовані керівниками структурних підрозділів міськради, депутатам не звикати. Приміром, свого часу обранці громади прийняли рішення, яке не завізував жоден чиновник, і питань не виникало. Тоді ніхто не вникав у суть справи, натомість повірили авторитету члена земельної комісії, надавши землю, з приводу якої тривали суди, в оренду.
Підписуйтесь на наш Telegram-канал, аби першими дізнаватись найактуальніші новини Волині, України та світу
Історія півстолітньої давнини
Історія з цією землею сягає ще 50-х років 20 століття. Тоді на вулиці Садовій (нині Винниченка, 53) в одному будинку жили четверо квартирантів. Подібні спільні будівлі свого часу були доволі поширеним явищем. У одній з квартир мешкала родина Стокаліч, про що свідчить витяг з Генерального плану, датованого 1954 роком.Коли в Україні розпочалася приватизація, родина вирішила зробити як і їхні сусіди: приватизувати ділянку, якою вони користувалися. Об’єдналися вони з однією сусідкою – Ларисою Супоровською. Якщо об’єднати ці дві ділянки під господарствами, виходило менше 10 соток на дві родини (хоча стільки передбачено законодавством для одного). Володимир Стокаліч та Лариса Супоровська написали заяву на надання в оренду земельної ділянки для будівництва та обслуговування житлового будинку, господарських будівель і споруд.
Питання у Луцькій міській раді розглядали у жовтні 2006 року, і надали Стокалічу та Супоровській в оренду ділянку площею 0, 08 гектара.
Однак, у березні 2007 року з невідомих причин, депутати прийняли рішення внести зміни в згадане рішення: замість 0,08 гектара двом господарствам надали 504 метри квадратних землі.Щоправда, довгий час цієї зміни лучани не зауважували. Вони отримали державний акт на право власності на земельну ділянку і думали, що ділянка, якою вони користуються – їхня.
Історія кількарічної давнини
Дружина Володимира Стокаліча – Галина Новосад - вирішила одного разу привести до ладу документи. І лише тоді лучани виявили, що володіють не 10 сотками, а лише 5-ма: по 2,5 сотки на кожного.З 2011 року Галина Новосад намагається приватизувати землю, якою вона користується декілька десятків років, і відвоювати ще 5 соток землі. Сусідка і чоловік виготовили нотаріальну довіреність на ім’я жінки.Чому ж депутати у 2007 році змінили рішення і вилучили землю - до кінця незрозуміло. Щоправда, можна припустити, що на цьому місці планували збудувати багатоповерхівку. Про це свідчить публікація на сторінках Інформаційного агентства Волинські Новини від 2013 року.
У публікації йдеться, що ДП «Волинський науково-дослідний та проектний інститут землеустрою» вилучило землю на вулиці Винниченка, 53 для будівництва багатоповерхівки. Натомість пообіцяли лучанам квартири. Але цього не відбулося.
Щоправда, у 2013 році заявлялося, що землю вилучили для будівництва наукової лабораторії для того ж Інституту.Як би там не було, але приватизувати землю, доки Інститут мав претензії, лучани не могли. Нині ж, коли держпідприємство відмовилося від посягань на землю, Галина Новосад отримала надію землю приватизувати. Проте, виявилося, не все так просто.
26 квітня 2012 року депутати Луцької міської ради проголосували за проект рішення Про надання громадянці Новосад дозволу на розроблення проекту землеустрою щодо відведення земельної ділянки для будівництва та обслуговування житлового будинку, господарських будівель і споруд. Цим документом обранці громади дали дозвіл розробити проект землеустрою щодо відведення земельної ділянки у власність Галині Новосад.Це була так звана «перша сесія». Зазвичай рішення про надання у власність («друга сесія») має прийматися автоматично, якщо рішення проходить під час «першої сесії».«Формальне питання» голосували тричі
Однак, під час 72 сесії міськради, 25 березня, проект рішення не набрав достатньої кількості голосів. До слова, того дня Галині Новосад виповнилося 55 років. Вона чемно чекала цілий день рішення депутатів і пішла ні з чим.
Варто зауважити: проект рішення озвучив депутат міської ради Андрій Осіпов. Того дня було оголошено про включення його до складу депутатської групи «Новий Луцьк» і обрання Андрія Осіпова головою групи. Депутат припустив, що не підтримавши проект рішення, колеги висловили особисте ставлення до нього, а не цікавилися суттю питання.
Питання на розгляд депутатів виносилося тричі. Та жодного разу воно не набрало достатньої кількості голосів. Приміром, міський голова Микола Романюк тричі натискав кнопку «утримався». А через тиждень в коментарі з цього приводу навіть не згадав суті питання, бо таких - «сотні». Схожі відповіді і у решти депутатів, які не голосували за проект рішення.
Депутат Василь Гриб мотивував те, що він не голосував за згаданий проект рішення, негативним висновком земельної комісії, тоді, коли земельна комісія питання не розглядала, а на розгляд сесії його подала комісія з питань дотримання прав людини, законності, боротьби зі злочинністю, депутатської діяльності, етики та регламенту.
Багатоповерхівка в проектах
Власне, якщо ж глянути на візи на проекті рішення, то вирішальним фактором у цій справі могли бути й висновки управління архітектури та управління землеустрою.До слова, зробити заїзд до цієї ділянки жінка також не зможе. Невеличкий шматок на схилі - одразу ж за парканом ділянки, яку хоче приватизувати Галина Новосад, міська рада надала в оренду на 50 років одному з підприємців міста. Про це вона дізналася «між іншим», коли прийшла на прийом до головного архітектора.
Галина Новосад подала вчергове документи в управління містобудування та архітектури. З’ясувалося, що відповідно до Генерального плану міста Луцька, затвердженого у 2009 році, та плану зонування, затвердженого в лютому 2015 року, рішенням міськради ділянка, яку хоче приватизувати жінка, знаходиться на території перспективної багатоквартирної житлової забудови, а саме 5-поверхівки. Тому цю земельну ділянку в приватну власність для індивідуальної забудови виділити не можуть.Проте, каже Галина Новосад, багатоповерхівку все одно там не збудують – сусіди не погодяться. Відтак, жінка готується йти до суду, аби добитися виділення земельної ділянки.Власне, ситуація схематично виглядає так: якщо депутати сказали «А» (дозвіл на першій сесії), то треба було сказати «Б» («друга сесія»); а якщо не збиралися казати «Б» (бо не відповідає генплану), то не варто було казати «А»(позитивне голосування «першої сесії»).
***
Відтак, земельна ділянка «зависла» в повітрі. Відкликати рішення «першої сесії» депутати не зможуть. Його можна анулювати в судовому порядку. Та, враховуючи, що наврядчи знайдуться авантюристи, які побудують на тих п’яти сотках багатоповерхівку, де мало місця навіть розмістити будівельну техніку, охочих оскаржувати рішення може більше й не знайтися. А оскільки управління містобудування і архітектури не дає позитивного висновку, то «друга сесія» може не відбутися.
Своєю чергою, позитивний висновок архітектури можливий лише після внесення змін до Генерального плану міста та плану зонування території. А це – складна процедура, яка коштує чималих грошей.
Натомість, ухвалювати рішення, які не завізовані керівниками структурних підрозділів міськради, депутатам не звикати. Приміром, свого часу обранці громади прийняли рішення, яке не завізував жоден чиновник, і питань не виникало. Тоді ніхто не вникав у суть справи, натомість повірили авторитету члена земельної комісії, надавши землю, з приводу якої тривали суди, в оренду.
Знайшли помилку? Виділіть текст і натисніть
Підписуйтесь на наш Telegram-канал, аби першими дізнаватись найактуальніші новини Волині, України та світу
Коментарів: 4
Патріот
Показати IP
28 Квітня 2015 20:20
А якби в статті незгадувалось прізвище Осіпов то вона б напевне невийшло в друк)))Жуналістам - ви в кожній статті пишіть: Осіпов вкурсі, знає, чув, бачив, думав, здогадувався,мріяв,робив,зробить,планує,присутній доїджає,був свідком.
Це читачам більше ще подобатиметься))))
Вася
Показати IP
28 Квітня 2015 20:54
А Осіпов то з землею розбирається, то з гуртожитками. Спеціаліст широкого профілю виходить. Якийсь він ідеальним у вашого видання виходить. А насправді - повна протилежність
Свідок
Показати IP
28 Квітня 2015 23:32
Яке може бути дотримання законності так званою комісією з дотриммання законності,якщо нею лобіюється незаконне виділення земельної діляннки в центрі міста? Тому коли будети голусувати на виборах до місцевих рад не голосуйте за цих слуг народу та іх обслуговуючий персонал.
До Васі та Патріота
Показати IP
29 Квітня 2015 09:00
Цілком згідний! Таке враження, що цьому жирному коту немає чим зайнятися, крім як сканалити та провокувати конфлікти. Що вже зі Сходу повернувся, вояка ти наш липовий. Та ж будь мужиком, а не ганчіркою. Огидно читати щодня це прізвище у всіх ЗМІ...
«Це було трагічне виселення, вигнання»: в Луцьку відкрили виставку про депортацію українців із Польщі
Сьогодні 17:20
Сьогодні 17:20
«Не думав, що вдома теж будуть знущатися»: в Одесі звільнений з полону військовий заявив про викрадення працівниками ТЦК
Сьогодні 16:51
Сьогодні 16:51
Навколо Москви будують ще одне кільце ППО, а резиденцію Путіна приховали на «Яндекс.Картах», – журналісти
Сьогодні 15:24
Сьогодні 15:24
Штрих до історії міської канцелярії Луцька ХVII століття
Сьогодні 14:55
Сьогодні 14:55
Стан доріг, безпекова ситуація та залучення інвестицій: голова ОВА обговорив зі старостами громад Ковельщини нагальні питання
Сьогодні 14:26
Сьогодні 14:26
Повідомили про загибель воїна Сергія Ковальчука з Волині, який понад два роки вважався зниклим
Сьогодні 13:57
Сьогодні 13:57
Нові правила візитів до сімейних лікарів: що зміниться з 20 травня і чому пророкують черги
Сьогодні 13:28
Сьогодні 13:28
У Луцьку під час конфлікту поранили хлопця
Сьогодні 12:59
Сьогодні 12:59
w.jpg)


Додати коментар:
УВАГА! Користувач www.volynnews.com має розуміти, що коментування на сайті створені аж ніяк не для політичного піару чи антипіару, зведення особистих рахунків, комерційної реклами, образ, безпідставних звинувачень та інших некоректних і негідних речей. Утім коментарі – це не редакційні матеріали, не мають попередньої модерації, суб’єктивні повідомлення і можуть містити недостовірну інформацію.