У Луцькраді вдруге не дозволили узаконити самовільно побудований автосалон
Цільове призначення земельної ділянки де замість відкритої автостоянки збудували автосалон, не дозволили змінити депутати міськради.
Про це йшлося під час 18 сесії Луцької міськради 25 січня.
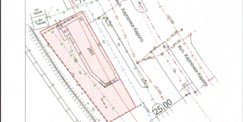
Депутати повторно розглянули проект рішення про надання ТзОВ «ТРАНС КАПІТАЛ» дозволу на розроблення проекту землеустрою щодо відведення земельної ділянки (зміни цільового призначення) для будівництва та обслуговування автомагазину на вулиці Карпенка-Карого, 10 (площею 0,0779 гектара).
У грудні минулого року депутати не підтримали цей проект рішення, тож нині його винесли на розгляд повторно.
Як повідомив начальник управління земельних ресурсів Сергій Шабала, площу земельної ділянки зменшили після поділу з 18 сотих до 7 (ділянка під нерухомим майном на праві власності). Члени земельної комісії міськради рекомендували не підтримувати проект рішення.
Депутат Андрій Козюра зазначив, що на ділянці вже розміщений об’єкт нерухомого майна, попри те, що цільове призначення ділянки було під криту автостоянку. На цей об’єкт зараз є документи на право власності але частина будівлі розташована за межами червоних ліній всупереч будівельним нормам. Він нагадав, що члени постійної комісії міськради з питань будівництва та архітектури рекомендували звернутися до антикорупційного бюро та прокуратури області щодо проведення перевірки законності будівництва та законності оформлення права власності об’єкту нерухомого майна.
На це Сергій Шабала зауважив, що за майно потрібно платити орендну плату, а питанням законності можна займатися паралельно, вивчаючи питання в компетентних органах.
Депутати усе ж не підтримали проект рішення.
Підписуйтесь на наш Telegram-канал, аби першими дізнаватись найактуальніші новини Волині, України та світу
Про це йшлося під час 18 сесії Луцької міськради 25 січня.
Депутати повторно розглянули проект рішення про надання ТзОВ «ТРАНС КАПІТАЛ» дозволу на розроблення проекту землеустрою щодо відведення земельної ділянки (зміни цільового призначення) для будівництва та обслуговування автомагазину на вулиці Карпенка-Карого, 10 (площею 0,0779 гектара).
У грудні минулого року депутати не підтримали цей проект рішення, тож нині його винесли на розгляд повторно.
Як повідомив начальник управління земельних ресурсів Сергій Шабала, площу земельної ділянки зменшили після поділу з 18 сотих до 7 (ділянка під нерухомим майном на праві власності). Члени земельної комісії міськради рекомендували не підтримувати проект рішення.
Депутат Андрій Козюра зазначив, що на ділянці вже розміщений об’єкт нерухомого майна, попри те, що цільове призначення ділянки було під криту автостоянку. На цей об’єкт зараз є документи на право власності але частина будівлі розташована за межами червоних ліній всупереч будівельним нормам. Він нагадав, що члени постійної комісії міськради з питань будівництва та архітектури рекомендували звернутися до антикорупційного бюро та прокуратури області щодо проведення перевірки законності будівництва та законності оформлення права власності об’єкту нерухомого майна.
На це Сергій Шабала зауважив, що за майно потрібно платити орендну плату, а питанням законності можна займатися паралельно, вивчаючи питання в компетентних органах.
Депутати усе ж не підтримали проект рішення.
Знайшли помилку? Виділіть текст і натисніть
Підписуйтесь на наш Telegram-канал, аби першими дізнаватись найактуальніші новини Волині, України та світу
Коментарів: 2
ФБР
Показати IP
25 Січня 2017 22:27
Тут все простіше парєної рєпи. Васілєвскій з минулої каденції передав рекет в наслєдство Козюрі. "Батьківщина" в них на двох одна. Дізнається баба Юля - ох і надере с%аку за компроментацію партії.
Я
Показати IP
26 Січня 2017 10:54
Хіба то перший раз таке: виділяють ділянку під одне а там під шумок щось собі ліплять, шо треба , а потім вже якось узакониться...
У НАТО заблокували план допомоги Україні, – The Telegraph
Сьогодні 07:17
Сьогодні 07:17
Для ковельської школи збудують нове укриття за 7 млн
Сьогодні 06:18
Сьогодні 06:18
25 травня: свята, події, факти. Всесвітній день хірургії та Міжнародний день зниклих дітей
Сьогодні 00:00
Сьогодні 00:00
Був у СЗЧ, тому не захотів пройти огляд: водія, якого спіймали біля Луцька під наркотиками, оштрафували
24 Травня 2026 23:36
24 Травня 2026 23:36
У Білорусі не фіксується переміщення техніки чи особового складу біля кордону, – Демченко
24 Травня 2026 23:07
24 Травня 2026 23:07
Бережіться не лише кліщів: лікарка попередила про нашестя небезпечних комах в Україні
24 Травня 2026 22:38
24 Травня 2026 22:38
На Ратнівщині за понад 600 тисяч продають майно підприємства-банкрута
24 Травня 2026 22:09
24 Травня 2026 22:09

Додати коментар:
УВАГА! Користувач www.volynnews.com має розуміти, що коментування на сайті створені аж ніяк не для політичного піару чи антипіару, зведення особистих рахунків, комерційної реклами, образ, безпідставних звинувачень та інших некоректних і негідних речей. Утім коментарі – це не редакційні матеріали, не мають попередньої модерації, суб’єктивні повідомлення і можуть містити недостовірну інформацію.